Furacão Melissa atinge a categoria 5 e ameaça causar catástrofe no Caribe

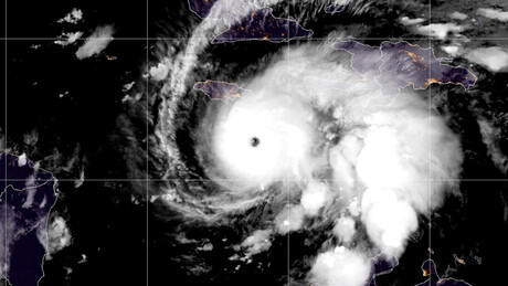
O furacão Melissa ganhou intensidade nesta segunda-feira (27), atingindo a categoria 5, a mais alta na escala Saffir-Simpson de ventos sustentados, informou o Centro Nacional de Furacões dos EUA (NHC).
L'ouragan #Melissa vient de passer en catégorie 5 avec des vents à 260 km/h alors qu'il se situe à 200 km au Sud de la capitale de la Jamaïque. Le système commence également à incurver sa trajectoire vers le Nord ce qui l'amènera à touche terre demain.Jusqu'à 1 000 mm de pluie… pic.twitter.com/LsCAHUD6dr
— CATastrophesNATurelles.net (@catnatnet) October 27, 2025
A tempestade está se movendo pelo oeste do Mar do Caribe em direção ao sul da Jamaica, com ventos máximos sustentados de 260 quilômetros por hora. O clima na ilha piorará ao longo do dia e da noite, com ventos destrutivos, marés de tempestade e inundações catastróficas, alertou a agência.
Espera-se que Melissa atinja a costa do país pequeno caribenho na manhã de terça-feira (28), tornando-se o furacão mais forte a atingir diretamente a ilha em décadas, segundo a AP.
Posteriormente, é provável que atinja o leste de Cuba, onde foi emitido um alerta de furacão para as províncias de Granma, Santiago de Cuba, Guantánamo e Holguín, e um alerta de tempestade tropical para Las Tunas.
